Také se nemůžete dočkat, až vám ibišky bohatě vykvetou? To je poté nádherná podívaná, ze které má radost každý pěstitel. Bohužel je však velice známo, že ibišky máme rádi nejen my, ale také mšice. Už jste zkontrovali své rostlinky, zda nejsou napadeny těmito škůdci? Pokud jsou, jednejte téměř okamžitě. Připravili jsme pro vás účinné řešení, ale také efektivní ochranu, díky které se škůdci na rostlinách již neobjeví.
Mšice na ibišku
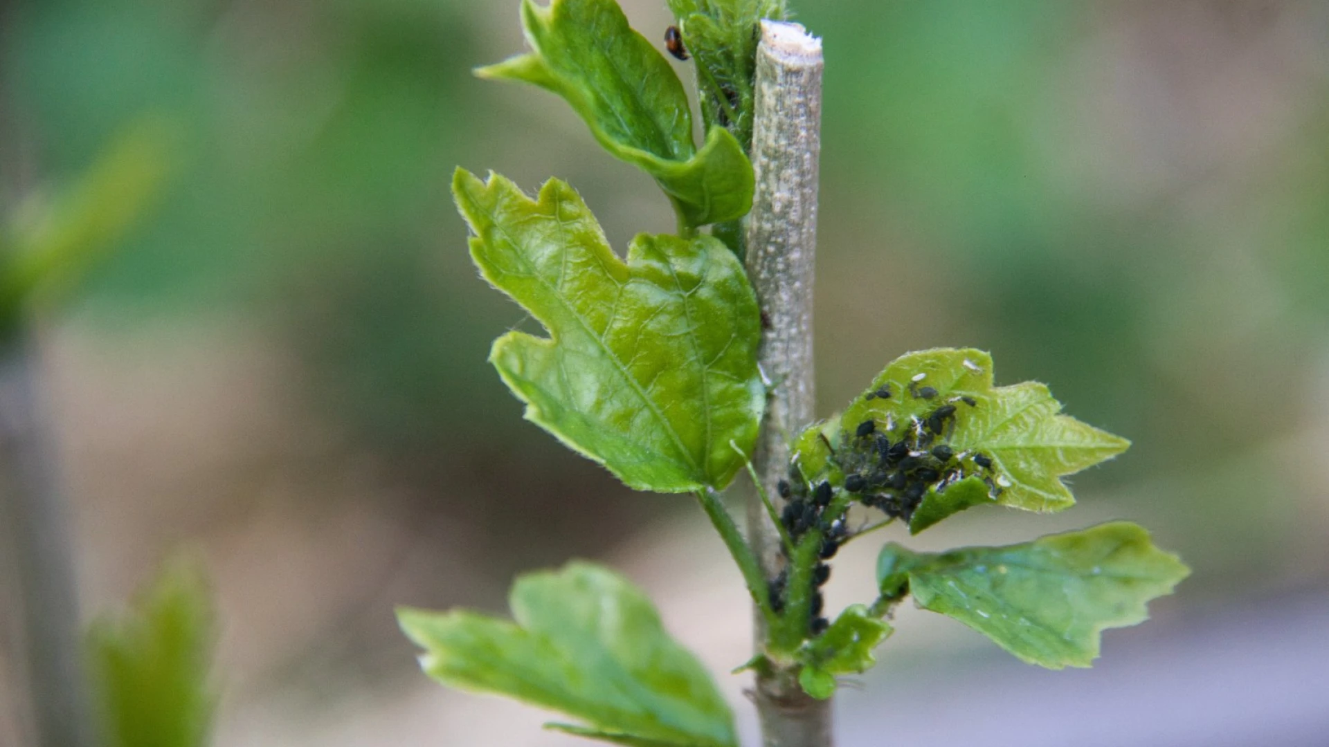
Mšice patří mezi obávané škůdce, kteří umí zničit snad jakoukoli rostlinu. Především listy a stonky, ze kterých sají mízu a způsobují jejich deformaci, ale i úhyn. Stejně tak působí na ibišek. I když si říkáte, že listy začínají teprve rašit, co by na nich mšice pojídaly, opak je pravdou. Tito škůdci zvládnou přezimovat pod kůrou větviček, a jakmile se na jaře oteplí, začnou vylézat. I nás takové nemilé překvapení čekalo. Z toho důvodu jsme pro vás připravili i vyzkoušeli postřik, díky kterému jsme se mšic nadobro zbavili.
Postřik na mšice
Máte-li mšice i na vaší rostlině, rozhodně nečekejte až ji obsadí celou. Mezi suroviny, které na tyto problematické škůdce spolehlivě fungují, patří voda, mýdlo a Tea Tree olejíček. Pokud olej koupíte, rozhodně neproděláte, neboť ho lze využít nejen na akné, při nachlazení, ale také na dezinfekci drobných ran a na pomoc po bodnutí hmyzem. A samozřejmě na zmíněný postřik, na který je vhodné smíchat 350 mililitrů vlažné vody, půl lžičky mýdla a deset kapek olejíčku. Suroviny promíchejte, dvě hodiny vyčkejte a k aplikaci postřiku přistupte k večeru, kdy již tolik nesvítí slunce. Pakliže mšice po třech dnech nezmizí, postřik aplikujte ještě jednou.

Ochrana ibišku před mšicemi
Budete-li chtít ibišky ochránit před napadením těmito škůdci, aplikujte na ně postřik z kopřiv. Nejlépe však ze zkvašených kopřiv. Ten, jak je známo, nevoní nejen mšicím, ale také plísním. Stačí kopřivy nechat zkvasit a poté je smíchat s vodou v poměru 1:15. Takto připravený postřik aplikujte na ibišky jednou za 14 dní. Mimo toho lze také využít sílu zkvašené přesličky. I tu však ředíme s vodou ve stejném poměru jako kopřivu.